The New Perlustration of Great Yarmouth front page
Middlegate Street

Middlegate Street ran from Hall Plain to Friars Lane. It never had
any gates, and did not lead to or from a gate either, rather it was the centre
street of the town, and ran north‑south, with the numbering of the houses
running along the east side to Friars Lane, and then back along the west side
to Hall Plain.

During the Second World
War, much of Middlegate was closed up. The houses were mainly small shops, and
business was non‑existent there during the war. Approximately 70% of
Middlegate stood intact at the end of the war, although very run‑down.
The area between Greyfriars and the fire station was destroyed, and the area
between row 139/140, and 145 also, but elsewhere, even where almost the whole
of rows 124, 128, 129, 132, 133, all west of Middlegate were destroyed,
Middlegate itself was still very much standing. Instead of being restored
however, almost the whole street, in common with the south end of King Street,
was pulled down. This was justified by the need to claim the grant
for bomb damaged buildings. The architect and borough surveyor should be
censured into eternity for what was subsequently erected. In 1938, on the east side, from the Police
detectives' office, at no.1, we would pass Allen's, still present today, where
I recently recommended the bar lunch to some summer visitors, past row 77, Sacret and co.'s tobacconist, and the Middlegate congregational
church. Designed by Mr.Bottle



, it is on the siteof the
old meeting house, of which there are interior and exterior views, and which appeared
on HenrySwinden's map in 1758.


The church was sold to raise money for improvements to the
King There were Street Church, and the Middlegate Church
converted*to offices.* Past row memorials here 84, the ship public house
stands unchanged with its Lacons glass windows to the Hurry intact.

The Ship Inn, Middlegate
Between that and row 88,
were in 1938, Wigg the fishmonger at
family. no.6, then Joseph Niman (Tailor), David Reeve, printer, and Harry Colman, * 1991 the printer.

Row 88 was opposite Queen
Street, and opposite Colman's was, between Queen Street and row 76, the Fire
Station and the Police Office.

These were relocated at Friars lane and Howard Street.


Continuing on the east side from row 88, there was Eddington's
coffee bar, William Hubbard, boot repairer, and George Salter's residence. (nos.10, 11, and 11a) Then came row 90, of
which there is some notable detail (see that row). At no.13, Miss Mildred Payne
had a greengrocery. Next‑door was another grocer, Archibald Saul. Opposite row 90 was row 91 1/2, where could
be found the entrance to the Greyfriars cloister. This had been saved by the
Great Yarmouth Preservation company in the time of Frederick Danby Palmer, and was for some years advertised and used
by Frere and co as a wine vault. On the north‑west corner of this was
Charles Carr's furniture store. Carr is an old family of Yarmouth, see also
Limekiln Walk, Bowling Green Walk and 133 King Street. On the south‑west
corner of row 91 1/2, was J.D.Eastoe, newsagent. Next,between rows 92 and 96,
was the Unitarian chapel. The as related by Unitarian Chapel in Middlegate was destroyed by bombing in the Evelyn Symonds 2nd.W.War, and had a crypt underneath. From this were removed
many lead of row 90 coffins into the
street. When the coffins were opened the corpses were dry and appeared quite
preserved as though on the day first interred. They were however as dry dust,
and when disturbed, disintegrated on the slightest touch. Some young girls were
seen in these coffins with golden hair, again most perfectly preserved, but
they just fell into dust when the coffins were opened. The Chapel was later
completely rebuilt, but not as it was.

Opposite the Unitarian
Chapel were nos. 15 and 16, the shops of Arthur Parker, baker, and Percy
Fletcher. Then, past row 95, at no 17, was the Misses Bloom's drapery
establishment. When this was demolished, the shop moved to Northgate Street.
Miss Bloom was there until 1978, by which time she was very elderly and infirm
indeed, and sleeping on a chair in the room behind the shop. I transferred her
to "The Gables" nursing home on Marine Parade Gorleston. This was
then run by the Tidds. He was a hopeless alcoholic, and she had a foul tongue,
but it was then the only private nursing home. The Tidds kept an old Parrot
which swore as loudly as Mrs.Tidd, and was shut up in a cupboard at night. Miss
Bloom's old shop is now called "Grandma's Wardrobe. (on Northgate
Street) Past rows 97, 99 and 91 was
then Docwra's confectionary manufacturer's. Docwras are known for their rock,
and have now a factory just north‑east of Nelson's column, and had a shop
now closed on the south west corner of St.Georges Road, and another in Regent
Road. What is most astonishing here, is
that exactly on the site of 18 Middlegate, where once was Docwra's factory, is
13 Greyfriars way, where now, in a flat, live
the grand‑daughter also the great‑grand‑daughter of
the owner of the factory. Docwra's was from 18 to 22 Middlegate.
Past Rows 102 and 105 was
Johnson's oilskins factory, from nos.23 to 27. There is a picture of HarryJohnson
standing in an archway here, in 1931,
before the buildings were taken down, but the archway preserved. The photo is
in Rumbelow's diary. Harry restored Anna Sewell's house, but died at the age of
about 35, in 1933. After bombing, during the war, the factory was moved up
north, but returned to North Quay, and later transferred to Gorleston, but the
company was then taken over. Opposite
their factory, on the west side of the street, between row 100 and 103, Docwra
had a shop. (no 167) At 168 and 169 were Nowell and Fuller, Fishmonger, and
Ditcham the plumber's establishment, of which there is a photograph derived
from their advertisement in the 1932 directory.

At 170 was the Turk's head
pub, kept by Joseph Batley, and that was back by the Unitarian Chapel, by row
96. Row 96 is now placed as the south side of Yarmouth Way, where it joins
South Quay. Row 103 was by Docwra's, and then there was the Suffolk Tavern,
kept by Charles Dyble, next to the Salvation Army Hall, which still stands.
Between row 104 and 106 is now an empty space, but then there was 162, High
John's Billposters, and 161, Norman Stanley's drug store. Between rows 106 and
108 is still the tolhouse, burned out during the war, and seen as a shell in
pictures in Rumbelow's diary, but susequently restored.

There is an interesting
point about the Tolhouse made by Rumbelow, and The Tolhouse that is that the original groundfloor level is
likely to be that of the is one of
Yarmouth's dungeon floor. This being
so, it would be exceedingly interesting to
oldest buildings. examine the outside of the front wall below present
ground level. Opposite here was the
south edge of Johnson's, and row 107. Next to here, on the same east side was
Harry Culley, at no. 28, a general shop, and Nathan Newton, draper. After row
109 was Mrs.Palmer's shop, Mrs.Harvey's residence, and Pigg's
greengrocers.(33). At 34 was a private house.

Between row 110 and 113
was Reg King the butcher. Opposite to
row 110 was row 111 on the west side. Part of this row is preserved, and in
possession of English Heritage. The houses between row 111 and 108 are the only
ones surviving now, and no 160, long a shop, is still in use as a tea shop.
(previously Augustus Wilson's shop)
The Wilding family had
their fish shop at the end of row 111, at
see Row 133 no.154. Fish and chips was popular then as now. The shop is
listed in for the Wildings Kelly's
as being in possession of Mrs.Dorothy Wilding, but in fact her husband George
was the proprietor. They lived then at Runham, but were first in Row 133 at no
4 with Mrs.Wilding's parents the Colemans. The Wildings also had a fish shop in
King Street. (fish and chips wrapped in newspaper). Kemp's sister took over the
shop in Middlegate, then Wm.Kemp, before moving to Barkis Road, starting the
fish shop that is there to this day. The one in Middlegate still stood after
the war although it was war damaged. It was bought by the corporation by
compulsory purchase. Beyond Wilding's
were two private houses (153,152),row 112, Ferrows bookshop, and the famous
Druid's Arms, kept by Edgar Aldous.
Aldous kept this house in the 20's and 30's, and used to treat the first
two children back to the pub after chasing the London paddlesteamer up river to
its mooring, to half a crown. Many of the dockers came into the Druids, and
when they left at Sunday dinnertime, it was tradition that they threw their
loose change into the street for the children. There was a tremendous fight for
it! Next to the Druids was row 117,
then 149, a private house, 148 Frank Mansi, confectioner, row 118, and five
more shops, a grocers, furniture dealer, fried fish, grocers, and general
store.

East side of Middlegate,
1936, (photo,A.Wilson), just across from Row 111
Row 123 was followed by
Benjamin Smith's fishmongers, and Cyril Watson the wireless dealer. Next was
row 124, at 139 was the Magdala Tavern, kept by Henry King, Mills the
fishmonger at 138, where fish were fried in pans over an open furnace. Bundles
of wood sold at 3 for a penny in the Westgate's shop next door would be thrown
into the furnace to get it burning. Eightpence would buy sufficient fish and
chips for four. Mills was a thin old man who stood with two pans frying. Richard Westgate was born at 137 in 1910,
then his father's confectionary shop, but the family soon moved to row 125 (see
under row 125) At 149 was Mrs.Colby
the shrimp catcher; at 148, Mansi the confectioners sold ice‑cream. They
made the ice‑cream at the back of what is now the charity shop on
St.Peter's Road. There were sheds there which they used. At 147 was Herbert Potter, a grocer, and William
Howkins had a wireless dealers at no.140 where one could go to get the lead
batteries for the radio re‑charged.
At Carrolls court near to Delfs, lived the "Little
Band Box"‑ see row 137
Mrs.Dugdale, who brewed her herbal wines. This court appears to have been for
the Dugdales the small court between 111 and 114 Middlegate, but is said to
have been near to St.Peter's Paved Row. The Scots fishermen would gather in
Middlegate before they went home, all the way along. They would buy boxes of
fruit and barrells of fish to take home. George Waters would prepare barrels of
red herring for them. These would be cured herring. There would also be items
such as children's dolls prams, and pedal cars, and bicycles, all taken on the
boats. In 1937 Fred Delf owned some 50 properties, that on his death were
auctioned at the Star Hotel on 23/9/37. These included 16 properties in
Middlegate, all fully described in the auction details. (See under 54 King
Street) There were also many row dwellings, also fully described. Opposite to
row 111, on the east side, was row 113, and no.38, R.Brown and sons,
confectioners, and Alf Seaman, hairdresser. Row 116 ran to King Street; then
was 40 and 41, Parke the outfitter. Row 119, and then Percy Jary the butcher.
(no.42) 42a was Miss Davis, and 43 was "Mad Harry" Davis the
hairdresser. On the south side of row
120 was Herbert Moore, tailor, and then rows 121 and 122.

detail inside an old
property in Middlegate
At 46 was Sam Rudrum provisions merchant, and at 148 Mrs.Leavold
Confectioner. Next was the gun row, 125, of which there is much history. At 49
was Thomas Brown, grocer, and at 51 Goulder, a baker before the war, and after
the war a cycle dealer, as can be seen in the photographs. On the south side of
Goulders was row 127, in which was the Brett's foundry. Immediately opposite to row 127, and on
the west side, was row 128, where I have described the birthplace of Richard
Westgate, at no.137, on the N.W.corner of that row. Again passing south on the
west side of Middlegate, there was Ernest Boast at no.136, Harry Mason antique
dealer at no.135, and the Oddfellows arms at 134, prior to row 129. Frank Gaze was at no 133, sheet metal
workers, and Delfs had a grocery at 132.

Next was row 132, followed
by Mary Wilson, greengrocer, and row 133.
In row 133 lived the Yallop family, who bought their dumplings from
Charles Victor Blyth, who of course cooked the sunday dinners in his oven at
no.129. Blyth had two beautiful daughters, and brought them up strictly. On a
sunday they could always be seen dressed in their "sunday best". Jean
is now married to Bill Atkins. Next to
Blyth was George Wynne, hairdresser, and the New Fountain Tavern at no.127,
next to row 136. After that came a shop, Welton the bootmaker, and a private
house. At row 137 lived the Dugdales, and many other fish‑house workers.
The occupants of the half cross row here were almost all employed in the fish
houses. (see row 137) Sam Costerton, the father of Dr.Costerton, who had James
Paget as his apprentice, had his house at the south‑west corner of row
137. Row 137 was once Grief's row, and
always associated with the fish‑houses. The Dugdale family here were
associated with fish curing. (see row 137)
The private house at number 123, was one of Fred Delf's let to Edwin
Swann. It was a brick, flint and tiled house, and had a living‑room with stove, kitchen with water and two
coppers, no electrisity, three bedrooms and a cellar. The outside W.C. was
shared with the small separate cottage also rented to Mr. Swann at the rear of
no.123, that had a living‑room and
two bedrooms. The annual rent was 23 pounds and 3 shillings.

Continuing from row 127 on
the east side again was Scotters confectioners; row 130, Thomas Mays butcher
(no.56); 57, a private house; Richard Powell, greengrocer; A.W.Fields, butcher,
at no.59; and then row 131. At no.60 was Robert Hall, bootmaker; then Robert
Palmer, tailor; Miss Woods, outfitter; and Mrs.Claxton, fishmonger, next to the
well‑known Middlegate Post office. This had been started as a news‑agents
in 1840 by Mrs.Harding, and then taken
over by Harry King. King was a pawnbroker from London, and took on the post
office agency in 1906.

William Welch (born 1906),
one of six children, from Malakoff Road, was a young lad of 7 when he first
worked for Mr.King, before the first W.War. King was asthmatic, and became too
weak to push the newspaper barrow to the shop from the wholesaler at the conge
where the papers were brought from the train in the early morning from Vauxhall
station. William Welch took over from Charles Wright, who had taken the post
office in 1920, but within two years developed an illness that left him
incurably weak, and Welch was asked to run it for him, and it was a very busy
post‑office here until 1942, by
which time trade was dwindling due to the war.
Wright suggested to Welch that he married and moved in above the shop,
so in 1930, he asked her, and that was what they did. The shopfront had been taken out and completely rebuilt in 1904.
The doorstep was nicely tiled and can be seen in the photo of the shop when it
had a special display for the Radio Times. William did all his own special
displays for this, and drew and painted all his own posters. The Radio Times
was sold out. Next to the post office
on its south side, was row 134. Row 134 was almost opposite to row 133 on the
west side. In 134 lived Albert Gowen who worked at Watney's maltings,and there
are good photos of this row which was largely intact post 2nd.W.War.
Continuing down the east
side of Middlegate, past row 134, no.'s 65 and 66 were private houses (Arthur
Saunders, Benjamin Smith), and then there was Delf's grocers at no 67. Although
the property next door, at no.68 was auctioned in 1937, this shop was
retained. Next was row 135 and Mrs.Maidstones
"brick, cement faced and tiled, freehold shop and dwelling-house".

There was a cellar under
this building, and a living‑room and kitchen with range and sink. There
was a landing, three bedrooms with stoves, and a rear yard with outside W.C.,
and coalstore. (for detail see 54 King Street)
Next door at no 69 was John Ecclestone's house that he rented from Delf
at 15 pounds and 12 shillings a year, and which had two bedrooms, and water was
from a tap in the yard. (see auction detail)
Robert Westgate, upholsterer, was at no 70, and McLeod's fried fish shop
at no.71. At 72 was Mrs.S.Bream, tobacconist, and then Cowle's buildings before
no.74, which was another of Delf's properties, this one let to Mrs Wiseman for
31 pounds and 4 shillings a year. It had an entrance hall leading to the
sitting‑room with stove. A kitchen with range, separate scullery with
range and copper. It had three bedrooms, and a cellar, and was superior to many
of Delf's properties in that it had electric light. On the south side of no.74 was row 140, which was a back way to
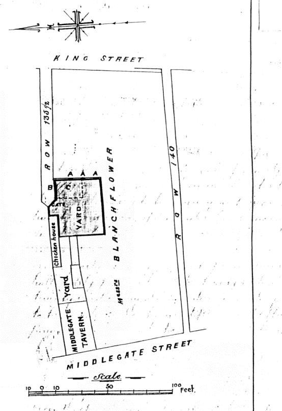
the Cock Tavern.

Plan of site of Cock Tavern. (from old deed)
Ives the antiquaries Row.
At no.82 was Mrs.R.Palmer, and then numbers 83, 84, and 85 were all
Delf's properties. 83 and 84 were vacant in 1937 and 1938. They were both
shops, with separate entrances and water in the back yard, and no electrisity.
There was also a separate tiled cottage at the back with two bedrooms. There
were three bedrooms on two floors in association with the two shops. There was
a single outside W.C. in the yard. At
no.85 Middlegate Street was a house let to Mr.Harry Botwright. This again had a
cellar and electric light. The house was let at 22 pounds a year. Row 141 was previously Houghton the Baker's
Row, and there had been cowsheds in this row.
To continue down the west side, on the south of row 137 was no.122. One
of Fred Delf's properties, let to Mr.Robert Walter Brackenbury. There was a
double fronted shop, but this was not let to Brackenbury, who only rented the
living quarters. There was a separate entrance to these, and a living‑room,
scullery with water, no electrisity, two bedrooms, and a yard with W.C., and an
entrance from a passageway. He paid 18 pounds and 4 shillings a year. At 121 was Louis Fisher, at 119, Mrs. Annison,
then came Row 128. No.117 and 118 was
Nelson Dennis Delfs, and James Miller was at 116. 116 Middlegate, one of Delf's properties, was a brick and tiled
house, including a living‑room with stove and copper, kitchen with range,
and three bedrooms. There was an outside yard, with its tap, W.C. and coal
house, so this dwelling had outside water, no electrisity, and of course, no
bathroom. It was let for 14 pounds and 6 shillings a year. Row 139 preceded Alf. Brewster's bakery at
no 115. This was a brick and tiled shop, and dwelling‑house. There was an
"excellent shop with two glass show fronts", living room with stove
and cupboard, kitchen with stove and sink, at the rear, a covered yard with
W.C., coalstore and a bake office with side flue oven and of one sack capacity,
and tap. Above the bake office was extensive storage space, and there was
electric light installed on the premises. The property was let by Delf to Alf
Brewster for the sum of 38 pounds a year. There was a separate small warehouse
on the south side, separately let (not to Brewster), at 4 pounds a year. At 114 was Richard Mitchell fishcurer, and
Thomas Scott at number 112 preceded the Fishing Boat public house, kept by
William Harwood, at no.111.
Row 142 was latterly
called "Blood and Gut Row" and was bombed out‑ see 142 row and
about Moses Powles. William Potter was
at no.110, and Charles Barnard at 109. At 108 was Mrs.Bunnewell, and Arthur
Bishop at no.107 preceded Row 143.
Mrs.Bunnewell rented from Delf for 18 pounds and 4 shillings a year, a
brick and tiled house on three floors. There was the living‑room with its
stove, a kitchen with range and three cupboards, and a scullery with sink, tap
and copper. (inside water, but no mention of electricity) There were three
bedrooms on the first floor, and one (attic I suppose) bedroom on the second
floor. There was a paved yard, coal house, outside W.C., and back
entrance. On the south side of row 143
was George Twitchett at no 106, followed by Thomas Ward at 105, and Mrs
A.Roberts at 104. 105 being one of Delf's houses, it was let at 16 pounds and 8
shillings a year, and was a brick and tiled house, with an entrance hall; front
sitting‑room with stove and cupboard; back sitting‑room with stove
and two cupboards; scullery with sink and tap; and on the first floor, a
landing, two bedrooms and a box room. On the second floor were two bedrooms.
There was electric light, and outside was a yard, W.C., coalhouse, and a wash‑house
with copper and back entrance. The auction details say that MRS.ward was the
tenant.

Row 145 was the last
officially numbered row. This was Nag's head row, and here there was a fine
pointed stone arch, that was though to have once been part of the dominican
friary. To complete the west side of
Middlegate, on the south of row 145 was Mrs.Burrows at no.103, Harry White Jeffery
at no.102, William Symonds at no.101, Fred Blake resided at no.100 Middlegate
and the last house was that of Alfred
Edward Rouse at no 99. To complete the
east side: from row 141, 88 and 89 were the shop of Mrs.LaPorte, and
Mrs.Derrick was at no.90. Row 144 was
the last row on the east of Middlegate.
South of row 144 was no.91, where Mrs.Tunmore lived. Beyond that, at
no.92, was Edward John Arbon, and Mrs.Millican at no 93. At 94 was George Leach, at 95a, Arthur
Smiter, at 94a lived Walter J.Bacon the plumber, at 96 was Fraser George Anderson,
and Mrs Tiptod at 97 preceded the last house which was Mrs.Watson's at no 98.




